土地确权登记申请情况公告(普宁市十八烈士纪念碑等八处烈士纪念设施)
来源:本网
发布时间:2026-02-11 15:56
浏览次数:-
【字体:大 中 小】
分享到:
现将普宁市十八烈士纪念碑等八处烈士纪念设施的土地确权登记申请的情况予以公告(详见下表),对公告的土地使用权、所有权及他项权利等有异议者,请于本公告发布之日起30日内携有关证明材料到普宁市自然资源局申请办理复查手续(联系电话:0663-2939345)。逾期无异议或异议不成立的,所公布的权益有效,将准予确权登记。
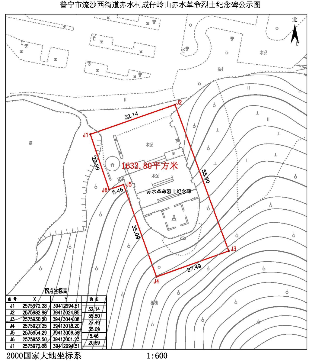
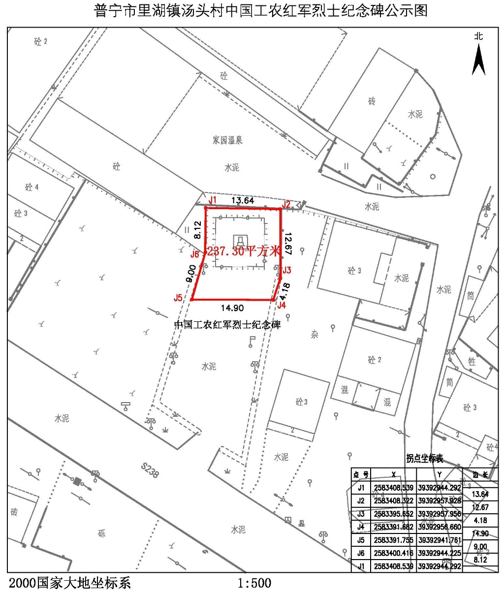
序号 | 土地使用者 | 土地坐落 | 用途 | 面积(平方米) | 权属性质 | 使用权类型 | 备注 |
1 | 普宁市池尾街道办事处 | 普宁市池尾街道多年山村草鞋地山 | 殡葬用地 | 314.20 | 划拨 | 国有建设用地使用权 | 十八烈士纪念碑 |
2 | 普宁市大南山街道办事处 | 普宁市大南山街道陂沟村和尚珂虎地山坡 | 殡葬用地 | 880.70 | 划拨 | 国有建设用地使用权 | 邓宝珍烈士墓 |
3 | 普宁市流沙西街道办事处 | 普宁市流沙西街道赤水村成仔岭山 | 殡葬用地 | 1633.80 | 划拨 | 国有建设用地使用权 | 赤水革命烈士纪念碑 |
4 | 普宁市梅林镇人民政府 | 普宁市梅林镇梅林中学东北侧 | 殡葬用地 | 278.10 | 划拨 | 国有建设用地使用权 | 梅林十九烈士墓 |
5 | 普宁市军埠镇人民政府 | 普宁市下架山镇白沙溪村白沙溪水库旁(大长陇村山林场) | 殡葬用地 | 163.00 | 划拨 | 国有建设用地使用权 | 军埠镇革命烈士纪念碑 |
6 | 普宁市里湖镇人民政府 | 普宁市里湖镇汤头村 | 殡葬用地 | 237.30 | 划拨 | 国有建设用地使用权 | 中国工农红军烈士纪念碑 |
7 | 普宁市燎原街道办事处 | 普宁市燎原街道泥沟村鹅地山 | 殡葬用地 | 434.10 | 划拨 | 国有建设用地使用权 | 王武、杨少豪、李千等烈士墓 |
8 | 普宁市高埔镇人民政府 | 普宁市高埔镇高埔村圩仔顶 | 殡葬用地 | 95.16 | 划拨 | 国有建设用地使用权 | 高埔十一烈士墓 |
普宁市自然资源局
2026年2月11日






